Итак, завершилось еще одно
замечательное путешествие, мои друзья, и я хочу вам о нем рассказать.

Малайзия-Индонезия (о-ва Ява, Бали, Флорес, Комодо, Ринка.....) -Сингапур-Таиланд СУПЕР!

|
Еще до нашей эры на территории современной Малайзии существовали индо-буддистские цивилизации. C VII |
Сейчас
Малайзия является конституционной монархией.
В
ее состав входит 13 штатов. Глава государства, именуемый Верховный глава
(король) - избирается на 5 лет из числа правителей штатов. Законодательным
органом Малайзии является двухпалатный парламент.
Ну,
прям как у нас. Избираем короля на 4 года из числа правителей. Михаила
III.
![]()
В Малайзии проживает
около 20 млн. человек и официальной
религией Малайзии является ислам. но, как простуда - в легкой
форме и по этому храмы различных религий (буддизм, индуизм и
христианство) зачастую стоят по соседству.
История
Куала-Лумпура началась в 1857 г., когда на эту территорию пришли
китайские шахтеры в поисках олова.
Поселение было разбито в месте слияния двух рек
в болотистой местности и в короткое время
все умерли от малярии.
Но запасы олова были
соблазнительно богаты и малярия
не остановила других - вскоре сюда приехали новые разработчики,
после чего, к середине XIX в., это место превратилось в процветающее поселение. Жили здесь
конечно, в основном,
китайцы, кто ж еще!!.
В
1896 г. Куала-Лумпур стал столицей Федеративных Малайских Штатов, а после 1910
г., когда сюда была проложена железная дорога, город стал развиваться и
превращаться из населенного китайцами в многонациональный. 80-е годы ХХ в. были
для Куала-Лумпур временем феноменального развития и роста. Столица превратилась
в космополитический высокоразвитый город, что трудно не
заметить. Центральная, деловая часть города вполне может
послужить площадкой для съемки фильма будущего. Очень чисто, почти
стерильно, обилие зелени и цветов, чистый воздух...
Хосподи... ну воздух то как они делают таким чистым,
а?
![]()
Здесь были построены самые высокие, на тот момент, здания в
мире - 88-этажные башни-близнецы Петронас (Petronas Twin Towers, "Петронас"
- название нефтяной компании) высотой 452 м.
Башни, конечно, Восхищают!
Устремленные ввысь, кажутся невесомыми, из нержавейки и стекла, как две
межгалактические ракеты, готовые к старту. Интересно,
откуда берет начало неистребимая страсть людей строить такие вещи,
рядом с которыми человек себя чувствует мелкой букашкой... Мазахизм какой то...
Но все равно - Потрясающе!
![]()
Очень
здорово погулять по старому городу, вокруг места слияния двух рек, откуда и
пошел Куала Лампур.
Вне космического делового центра это обычный
живой азиатский город, ароматный, лукавый, шумный. Национальные города
внутри мегаполисов украшают город... Чайна Таун, Маленькая Индия - особый
национальный колорит.. Эти люди, перемещаясь по миру берут с собой
не чемоданы , а кусочек родины... и соединяясь вместе - воссоздают ее в меньшем
масштабе. Думаю, это способность сильных наций, слабые поглощаются без
следа.
Гуляю
по городу... еду в метро... впитываю его дух... с плакатов мне улыбается
очередной парламентарий. Как
и всем депутатам в мире, я ему не верю.
Он
нахмурился, и на следующем плакате - отвернулся.
А вот улыбкам
прохожих верю... и отвечаю тем же. Вот и мечеть Масджид Джамек (Masjid Jamek)- старейшая
мечеть в городе. Она стоит на месте, где когда-то построили свои хижины первые
жители. Мечеть отличается своеобразной архитектурой: она выстроена в индийском
стиле, с большими луковичными куполами и изысканными арочными колоннадами.
За
мечетью на улице Туанку Абдул Рахмана стоят цепочкой великолепные здания,
выстроенные в начале XX в. под влиянием исламской архитектуры.
Их
портики и украшенные каменными кружевами галереи могут соперничать с дворцами
"1001 ночи". Сейчас
здесь центральные административные учреждения.
При этом, ничто не мешает цирюльнику расположиться
на ступеньках Центрального Суда... и стричь всех желающих...
Входящих...или - выводимых??? Хорошее впечатление оставил город...
Такси. Аэропорт.
Жара. Взлетное поле. Хочется захватить самолет и угнать его куда-нибудь на
море. Не успел я подумать, как летчики АirАзии
переглянулись и сразу согласились. Итак, курс на юг, разогнавшись, пересекаем
экватор. Ну-с, привет, антиподы. Как вы тут поживаете?
![]()
Индонезия |
Первые государственные образования возникли в прибрежных районах во II-V вв. Индонезийские моряки и торговцы стали одной из основных групп торговых посредников на Востоке. К середине VII в. возникла могущественная суматранская империя Шривиджайя. На Центральной Яве в первой половине VIII в. возникло государство Матарам, где правила шиваистская династия. В ходе объединения Индонезии вокруг Явы выдвинулся Гаджа Мади, фактический правитель Маджапахита в 1328-64 гг. В XIV в. усилилось проникновение в Индонезию ислама (из Индии и Малакки). В начале XVI в. империя Маджапахит распалась на ряд мусульманских княжеств. В начале XVII в. Нидерландская Ост-Индская компания вытеснила португальцев с Молуккских островов. Во вреемя второй мировой войны территория была оккупирована японцами, которых вытеснили англичане, а затем - голландцы. 7 августа 1945 г. провозглашена независимость Индонезии, которую Нидерланды признали в 1949 г. Президент Сукарно (с 1945 г.), один из лидеров Национальной партии Индонезии, в 1950 г. объявил Индонезию унитарной республикой. Рост влияния исламских фундаменталистов в 1980-е гг. привёл к их открытым столкновениям с властями, в результате которых в 1998 г. пал режим генерала Сухарто (президент с 1968 г.). |
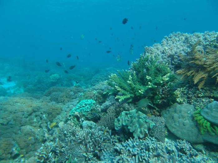
Индонезия находится между Азией и Австралией, разделяя Индийский и Тихий океаны. Архипелаг состоит из 5 основных островов (Суматра, Калимантан, Сулавеси, часть острова Новая Гвинея и Ява) и множества небольших островов. Всего их более 17 000 и только 6 000 из них обитаемы. Общая площадь архипелага 1904,5 тыс. кв. км., это самое большое островное государство. Регион относится к Тихоокеанскому огненному кольцу - из 500 расположенных здесь вулканов около 200 действующие. Самые известные вулканы - Кракатау в Зондском проливе и Тамбора на острове Сумбава. В 1883 году, в результате знаменитого взрывного извержения вулкана Кракатау, был разрушен целый остров и погибли десятки тысяч человек. Сейчас на его месте расположен остров Анак Кракатау (сын Кракатау). Извержение вулкана Тамбор в 1815 году считается самым сильным на Земле за последние 500 лет.
Рельеф основных островов в основном гористый, а прибрежные участки занимают равнины. Вдоль всего острова Ява находятся многочисленные вулканы, самый высокий - Семеру (3676 м) - ой, как хочется на нее подняться... Вы, мои друзья, еще увидите это чудо природы! . Остров Калимантан по окраинам равнинный, а в центре расположились древние горы, с отметками до 4000 м, на юге находится заболоченная низменность. На острове Сулавеси преобладают молодые горы с обрывистыми склонами. На острове Новая Гвинея находится самая высокая точка страны - гора Джая (5040 м) - вожделенная цель будущего путешествия . На малых островах из крупных вулканов выделяются Ринджани (3726 м) на севере острова Ломбок и Агун (3148 м) - на острове Бали.
Сведения о Бали, почерпнутые из энциклопедии: Большинство балийцев (93,18% населения) исповедует разновидность индуизма, которая называется «Агама Хинду Дхарма». Около 15% населения — мусульмане. Они проживают в основном в Денпасаре, Сингарадже и небольших прибрежных городках. Христиан и буддистов мало — это китайцы и коренное население.
Индуизм на Бали — витиеватый сплав туземных верований, буддизма и учения Шивы, пришедшего из Индии. Буддизм в форме махаяны (большой колесницы), что странно. Это течение буддизма распространено на севере - в Китае, на Тибете, в Корее и Японии. Называется это - Агама Хинду Дхарма : изменённое учение, которое называлось раньше «Агама Тирта» — религия освящённой воды, смесь шиваизма и буддизма, пришедших с Явы. В её основе теологические представления философии индуизма, обставленная культовыми церемониями, уходящими корнями в языческие верования туземцев. Язычество особенно заметно в культе природных явлений и поклонении предкам. Природа рассматривается как высшая сила, и каждая из её составляющих имеет своего духа, который может быть материализован в алтаре или задобрен подношениями (сахен) в виде продуктов. Кроме того, огромную роль в религиозных верованиях балийцев играют горы, как приют богов и предков. Балийцы думают и действуют, ориентируясь на горы, пристанище богов. Они не начинают работу, не посоветовавшись со жрецом, чтобы узнать, благоприятен ли этот день и этот час, и как в этот момент соотносятся силы богов и демонов в космическом колесе времени.
Историческая летопись Бали,
дошедшая до наших лет, к сожалению, довольно скупа и свидетельствует о том, что
история острова берет своё начало примерно в VIII-IX столетиях, когда там стали
образовываться многочисленные княжества. В центральном районе Бали до наших дней
сохранились развалины индо-буддийского государства X-XIII столетий, а также
"Королевские могилы" XI века, "Слоновая пещера" со статуей Ганеши, некоторые
скульптуры, живопись, маски.
Первым
европейцем, который посетил Индонезию в 1292
был Марко Поло, известный мореплаватель, а первые европейцы, которые
высадились на Бали были голландские моряки в 1597. Они влюбились в этот чудесный
остров и когда Корнелиус Хоутман, капитан судна, готовился отчалить, часть его
команды отказалась идти с ним.
Каждая
стадия жизни на Бали отмечена рядом церемоний и ритуалов, известных как
Manusa
Yadnya. Они вносят свой вклад в разнообразную жизнь, которой живет в среднем
большая часть населения Бали. Первая церемония проходит
еще до рождения, другая церемония - вскоре после рождения. Первая важная
церемония проходит в первый год ребенка - после 210 дней.
Фактически на Бали всего четыре имени. Первый ребенок - Wayan или
Putu, второй
ребенок - Made или Kadek, третий -
Nyoman или Komang, и четвертый - Ketut.
Пятый, шестой, седьмой, восьмой и девятый будут опять Wayan, Made, Nyoman, Ketut
и снова Wayan.
На Бали, как нигде, любят религиозные праздники –
бесконечная цепь фестивалей длится почти круглый год (всего их более 600).
Согласно балийской религии, весь остров принадлежит высшему богу Сангианг Видхи,
и власть над островом была передана священным людям.
происходят они с разной периодичностью... есть чуть ли не ежедневные,
есть - раз в сто лет! Очень необычный -
День Тишины (Nyepi Day)
на острове Бали отмечают 2 апреля . Это ежегодный праздник балийцев (весьма
своеобразный и непонятный европейцам) – день, в течение которого все жители
остаются дома и возносят молитвы. Дорожное движение перекрывается, закрыты все
порты и аэропорты, автобусные станции, и даже для
туристов запрещаются всяческие развлечения, выходить из отелей. Даже свет
зажигать запрещено! В Европе в это время празднуют "День дурака"
Каждому, как
говориться - свое!
Люди на Бали очень любят детей, и чтобы это доказать, имеют достаточно много детей.
Большие семьи поддерживаются государством. После церемоний младенчества
наступает время для церемоний, посвященных детству и половой зрелости, включая
важную церемонию "первого прорезавшегося зуба".
Браки
на Бали заключаются в достаточно раннем возрасте. Браки в принципе не так
регулируются как в во многих других азиатских сообществах, хотя существуют
достаточно строгие правила заключения брака между различными кастами. Есть две
формы брака в Бали - мападик (mapadik) и нгород (ngorod). Уважительная форма,
когда семья мужчины посещает семью женщины и вежливо предлагают, чтобы заключить
брак, называется мападик (mapadik). Однако, в том числе и ради забавы, некоторые
предпочитают тайный брак - нгород (ngorod), что является достаточно
захватывающим приключением. В частности никто не будет удивлен, когда молодой
человек похищает невесту. Пара прячется и родители невесты, как бы они усердно
не искали, не должны найти их. В конце концов пара выходит из укрытия, заявляет
о своем желании вступить в брак, и таким образом заключается брак. Кроме того,
тайный брак обходится намного дешевле. Светская жизнь на Бали
относительно свободна. Даже в развлечениях приводятся различия между мужчинами и
женщинами. И мужчины и женщины могут танцевать, но только мужчины играют на
гамелане.
Есть
церемонии для каждой стадии жизни, но как правило последняя "кремация" является
самой большой. Кремация на Бали может быть удивительным, захватывающим,
красочным и шумным событием. Фактически часто требуется так много времени, чтобы
организовать кремацию, что могут пройти годы после смерти. На этот период тело
временно хоронится. Кроме того, это еще одна прекрасная возможность наблюдать
невероятную энергию Бали, помещенную в создание реальных произведений искусства,
которые являются полностью эфемерными. Кремация - намного больше чем просто
сожжение тела. Тело несут от места погребения (или от дома покойного) к месту
кремации - башни, сделанной из бамбука, бумаги, мишуры, шелка, ткани, зеркал,
цветов и всевозможных ярких и красочных вещиц. Башню несут на плечах
группа мужчин, размер которой определяется в зависимости от важности покойного,
а следовательно и размер башни.
Длинный
путь к кремации обычно это всего лишь мера предосторожности для того, чтобы дух
покойного не вернулся домой. Потерянный дух около дома может стать большой
проблемой. Гамелан находится впереди и позади шествия, обеспечивая
соответственно захватывающее музыкальное сопровождение. При кремации тело
передается похоронному саркофагу, который должен быть в форме быка для Brahmana,
крылатого льва для Satria и рыбы-слона для Sudra. Сегодня наиболее часто
выбирается форма быка. Наконец все сжигается - саркофаг, тело. Старший сын
исполняет свою обязанность, проверяя чтобы не осталось ничего несожженного.
И где душа находится после кремации? На небесах, столь же красивых как и Бали!
Храмы
Самым ярким впечатлением острова Бали можно назвать многочисленные храмы. Большие и маленькие, старинные и возведенные во дворе собственного дома, безыскусные и богато украшенные, они разбросаны по всему острову. В каждой деревушке, как правило, минимум три храма. Самый важный – pura puseh, посвященный основателям деревни, обращен к горам. В середине деревни стоит pura desa, храм духов, охраняющих жителей и помогающих им в повседневных делах. Храм умерших – pura dalem – обращен к океану, и возле него часто располагается кладбище. Есть храмы, принадлежащие роду, морские храмы, помогающие рыбакам, земледельческие храмы у рисовых полей, вблизи рынков, способствующие успешной торговле, и множество других. Наконец есть еще просто места поклонения – у древних деревьев, вдоль дорог и вообще почти повсюду.
Особо значимые pura, принадлежащие не отдельной деревне, а всем жителям Бали, это “храмы направлений”.
1942 год. 19 февраля. ВОЙНА!
Японский военный флот ведет активные боевые действия, захватывая
остров за островом. Лакомая цель - Ява. Военная
база сил США в Сурабае. Но сначала -
их целью становится остров Бали и
более крупный соседний остров Ломбок, разделенные лишь узким проливом.
Бали находился всего в нескольких милях от. Явы Если не считать важного стратегического положения по отношению к
Яве и Австралии, Бали не имел для японцев никакого значения. Вулканический
гористый остров не имел никакой экономической ценности. Однако захват Бали
позволял поставить под удар авиации военно-морскую базу в Сурабае. Японцы нашли,
что крайне полезные аэродромы Целебеса и Борнео слишком часто приходится
закрывать по погодным условиям. Так как климат Бали был гораздо более сухим,
погода на острове не мешала бы полетам.
Адмирал
американских морских сил Доорман вполне мог перехватить японскую эскадру, если бы его
собственные силы были сосредоточены. Однако его оперативное соединение
находилось на востоке Явы, 4 американских эсминца заправлялись в бухте Ратай на
юге Суматры. Британские корабли сопровождали войсковой конвой в проливе Сунда,
тяжелый крейсер «Хьюстон» возвращался на Яву из Порт-Дарвина. Хотя Доорман и не
смог собрать свои силы полностью, он бросил против японцев то, что имел. Вечером
18 февраля он вышел из Чилачапа и направился в Санур Роудз с легкими крейсерами
«Де Рейтер» и «Ява», эсминцем «Пит Хейн» и американскими эсминцами «Поуп» и
«Джон Д. Форд». (Эсминец «Кортенар» сел на мель, выходя из гавани Чилачапа.)
Вторая группа была сформирована в Сурабае. Она состояла из голландского легкого
крейсера «Тромп» и американских эсминцев «Стюарт», «Пэрротт», «Джон Д. Эдвардс»
и «Пиллсбери». Эта группа должна была прибыть в пролив Бадунг вскоре после атаки
кораблей Доормана и отойти на N. Третью атаку должны были выполнить 8
голландских торпедных катеров. Боевую мощь поддерживали транспортные корабли, в
том числе и военно-транспортный корабль Либерти.
![]() |
19 февраля японская эскадра и и наспех собранное соединение союзников столкнулись в проливе между островами Бали и Ломбок. Морское сражение длилось почти сутки, союзники потеряли эсминец «Пит Хейн», легкий крейсер «Тромп» был серьезно поврежден.. двумя торпедами в 10 милях от берега был взорван транспорт Либерти, который еле держался на плаву с сильным креном на левый борт. Экипаж сражался за живучесть судна... его пытались отбуксировать ближе к берегу, где он и затонул.. Бали перешел под оккупацию японцев. |
Но, каждый... каждый ... каждый ...знает....знает, что
ГЛАВНОЕ на Бали - это СЕРФИНГ!!!!
![]()
Разве
не хочется... грациозно вскочить на доску... и в белой пене стремительно
скользить, под восхищенными взорами бронзовых девушек в бикини и без
них (без бикини, конечно) ... Твое твердое сильно загорелое тело вызывает
у них томление в груди и жар внизу живота......
![]()
Таа-а-а-ак... сказка кончилась.. и попытка
"грациозно вскочить" немедленно была пресечена волной...
вырвавшей доску, закрутившей меня в водовороте пены и песка.... кстати,
песок попал туда, куда даже ТЕОРЕТИЧЕСКИ, на мой взгляд, попасть не мог...
Хм... начнем сначала... так... грациозно вскочить... блин...
так... грациозно вско... блин..
граци-и-и-и... блин.. гра-а-а-а-а-а-а-а-а-а!!!!... блин..![]()
А все таки получилось...!!!
Пусть не грациозно... и пусть не вскочить , а ужом заползти... но -
ПОДНЯТЬСЯ и ПОЛЕТЕТЬ... и хоть "...недолог был его полет..." - он оставил
рану, рану которую лечить можно только подобным... Клин - клином...
волнами и ветром... вот такая, мои дорогие, гомеопатия...
![]()
И, конечно, на Бали есть парочка замечательных мест,
где можно сплавиться на плотах!
Что
то я задержался на этом райском острове, "...трубите
трубы, гремите барабаны, свистать всех наверх...",
ведь впереди томиться в ожидании меня -
Флорес (от
порт. цветы) —
индонезийский
остров из группы
Малых Зондских островов. Его площадь составляет 15.175 км² и на нём живёт
примерно один миллион человек. 91% его населения вследствие
миссионерской деятельности португальцев
римско-католические
христиане. Флорес имеет продолговатую форму и простирается с запада на восток. Длина
Флореса составляет около 425 км. В самой широкой точке расстояние между северным
и южным побережьем составляет 70 км. К северу
от острова расположено Море
Флорес.
В 2004 антропологи наткнулись на Флоресе на сенсационную находку — скелет неизвестного ранее карликового вида из рода людей (Homo), датируемый возрастом 18 тысяч лет. Первые исследования подтверждали, что найденный скелет не принадлежит представителю Homo sapiens, а является отдельным видом (Homo floresiensis). Рост взрослого человека не превышал 130 см. А вы еще сомневались в существовании хоббитов.... Кольцо... кольцо вот пока не нашли... НО!! не волнуйтесь, друзья, у меня с собой был металлоискатель... и все шансы стать обладателем ".. Пре-е-е-е-е-елести..." были на моей стороне!
В XIII веке
Флорес входил в состав государства
Маджапахит, потом принадлежал княжеству
Макассар. В
1544 его восточный край впервые заметил
португальский торговый корабль, капитан которого назвал его «Кабо дес Флорес»,
то есть мысом цветов. В
1570 на острове поселились первые
европейские
мореплаватели, назвав весь остров Флорес, хотя на нём не растёт больше цветов,
чем в других частях Индонезии. С
1667 до объявления независимости Индонезии Флорес был частью
Нидерландской Ост-Индии. Во время
Второй мировой войны между
1942 и
1945 был под
японской оккупацией.
Впрочем, об этом вы уже читали..
Не,
ну в самом деле... как же так... пока у нас, на красной площади,
казнили-варили кого не попадя, пока опричники
Грозного Ивана IV
носились по деревням, подметая остатки прошлогоднего урожая и
последних девок для забавы - португальцы и голландцы такие острова
осваивали... Почему не мы? я?
ну ПОЧЕМУ! Почему так бездарно прошли сотни лет нашей истории
в нашем же болоте. Только не надо про Ермака с
сибирью, а то я рассержусь ...
![]()
...и, конечно, на острове живут люди, улыбчивые, трудолюбивые, хитроватые и озабоченные... разные, как и везде в мире. Работают, ловят рыбу, растят детей... много бедней нас... и много счастливей... Задумайтесь!
Этот загадочный
КОМОДО!![]()
Флорес, конечно, прекрасен... но
это не цель... это - ПУТЬ... путь, что бы попасть в мечту Я помню, как
очень давно, в детстве, читая книжки о кругосветных путешествиях... или листая
до дыр журнал "Вокруг Света".. я прочитал о далеком острове Комодо, где живут
единственные на земле прямые потомки динозавров - загадочные огромные
драконы... Все остальное - делало воображение.!!! Вот такая детская
мечта! И вот, наконец, шхуна арендована, провизия
закуплена, капитан трезв, якоря подняты. ОТДАТЬ ШВАРТОВЫ! Путь - на
КОМОДО! ![]()
Комодо — остров в Индонезии площадью 390 км². Его население составляет всего 2 тысячи человек. Жители острова являются потомками бывших заключённых, которых высадили на острове и которые впоследствии смешались с племенем буги с острова Сулавеси. Население в большинстве своём исповедует ислам. Комодо относится к Малым Зондским островам и расположен между более крупными соседними островами Сумбава на западе и Флорес на востоке. Он является частью Комодского национального парка.
из энциклопедии:
Комодские
драконы, наряду с
крокодилами относятся к одним из самых древних видов планеты, так как они
мало изменились за прошедшие 2 миллиона лет. Взрослые комодские драконы питаются главным образом падалью, однако
эту падаль они получают необычным образом. Так, выследив в кустах оленя, кабана
или буйвола, дракон атакует и стремится нанести животному рваную рану, в которую
заносится яд и множество бактерий из ротовой полости варана.
Комодские
драконы
обитают на нескольких островах Индонезии
— Комодо (1700
особей),
Ринка (1300
особей),
Джили
Мотанг (100 особей) и
Флорес (около 2000 особей). В
1980 году,
для защиты
вида от вымирания, был организован
национальный парк Комодо.
Известны случаи
нападения драконов на людей, часто приводящие к гибели, человека, конечно. Человечеcкие
поселения на островах немногочисленны, но они есть и их население быстро растёт.
(от автора : Так как
количество обычной пищи - кабанов, оленей и буйволов сокращается, не без
помощи тех же людей, драконы охотно переключаются на на людей, безуспешно
пытаясь регулировать их численность.
)
В популяции
драконов число самок, как правило, намного меньше самцов,
поэтому в ритуальных боях за самку соревнуются целые поколения самцов. Побеждают
обычно матёрые особи, возраст которых превышает 20 лет. Молодняк и очень старые
самцы отступают. В случае когда самцов поблизости нет (а где же
молодые и старые???
),
самка может откладывать неоплодотворённые ими яйца, т.е. заниматься бесполым
размножением (Партеногенез - очень архаичная черта древних животных).
В таком случае все детёныши будут
одного пола (мужского
).
(это че значит -
только для рождения девочек нужны мужчины???
)
Найдя кучу, самка
дракона вырывает в ней нору, а часто
несколько, чтобы сбить с толку полчища
кабанов, рыскающих в поисках яиц, а предварительно сама лакомится куриными,
чтобы набраться энергии. ( Ясно дело, каждый
бережет свои яйца и жрет чужие. Все как у людей!
)
Самка ни на шаг не отходит от яиц в течении 8 месяцев,
дожидаясь вылупления детёнышей. Средний размер кладки - 20 яиц. Появившись на
свет, молодые дракоши тут же взбираются на соседние деревья.
Чтобы свои же не сожрали, детёныши проводят
первые два года своей жизни исключительно в кронах деревьев, где они ловят
насекомых и мелких птиц, но также и сами служат пищей для змей и ястребиных.
( Ciofi, Claudia.
The Komodo Dragon. Scientific American, March 1999 )
![]() |
![]() |
![]() |
|
| Рассвет на Комодо. | Вход в национальный парк. | Остров Ринча. | |
![]() |
![]() |
![]() |
|
![]() Еда для Драконов... надкушенная уже.. |
![]() |
||
Остров
Комодо!
|
|||
Ява!
Вы не слышали о Яве?
это не ужасные
сигареты, и не чудо-чешский-мотоцикл!!! для самых продвинутых - это даже
не язык программирования! это - ОСТРОВ! Удивительный остров,
наверное, самый удивительный остров в мире.... если у вакс есть другие кандидаты
на эту ступеньку пьедестала - обязательно напишите мне, я сгоняю, посмотрю!
Почитаем умную книжку: Я́ва —
остров, находится в составе
Индонезии
(cтолица Индонезии, Джакарта,
расположена на острове Ява). Площадь 132 тыс. км². Протянулся на 1000 километров
с запада на восток, тридцать процентов его территории занимают джунгли. Ява — самый населённый остров в мире (124 млн. чел.,
на одном этом острове - почти как во всей России
),
плотность населения составляет 979 чел./км². ( как у
нас, в Москве, в метро, в час пик.
)
Наиболее распространённые языки
—
яванский и
индонезийский. На Яве находится около 120
вулканов, из них 30 действующих. На острове выращивают один из знаменитых сортов
кофе —
Копи Лювак.
Да,
кстати о вулканах... с детства хотелось две вещи - лизнуть зимой
металлические санки и заглянуть ( нет, не под юбку... это
желание пришло несколько позже!
) в жерло вулкана..
так сказать, в
задницу Земли. Что там???
Любопытство меня и сгубило.
Язык к санкам прилип и оторвался с кровью.... а желание
заглянуть (вуярист-вулканолог, блин) привело меня в городок
Проболинго, откуда лежала тернистая дорога в огромную
кальдеру Тенгер, где располагается действующий вулкан Бромо,
гостеприимно распахнувший свой анус в небо! Дышите глубже,
гости дорогие! ![]()
Из той же книжки: Индонезия, являющаяся частью так называемого "тихоокеанского огненного кольца" (мощного тектонического разлома), является "рекордсменом мира" по числу действующих вулканов и часто сталкивается с проблемой землетрясений и извержений. Последнее извержение известного вулкана Бромо (высота 2614м.), повлекшее за собой человеческие жертвы, произошло в 1966 году. Двое туристов погибли и семеро получили ранения при извержении на восточной Яве одного из крупнейших на острове вулкана Бромо. Высота выбросов составила около трех километров. До 1966 зафиксировано 37 извержений (первое датированное — в 1804году ).
![]() Космический снимок. Видна кальдера с вулканом Бромо в центре и извержение вулкана Семеру 3676 м.(внизу) |
Кальдера – это циркообразная впадина с крутыми стенками и более
или менее ровным дном, образовавшаяся вследствие провала вершины вулкана
и в некоторых случаях прилегающей к нему местности. Кальдера
Тенггер (Tengger) сформировалась после ряда
вулканических извержений, в первую очередь, после извержения первого
доисторического вулкана, возвышающегося на 5000 метров выше уровня моря.
На его месте образовались более мелкие вулканы, в том числе и Бромо
(Bromo). Сейчас размер кальдеры - около 14 км. И дно ее, называемое
здесь «песочное море», покрыто серым вулканическим песком. Эта местность
является территорией национального парка Бромо-Тенггер.
Рядом находится самый высокий вулкан Явы - Семеру , 3676
метров. С 1818 года было отмечено 55 извержений Семеру. С 1967
года вулкан постоянно активен, извержения
пирокластического материала и газов происходят регулярно, из южного
кратера!. Ширина кратера 500 метров, глубина - 200, кратер заполнен
озером лавы. Здесь, на высоте двух тысяч метров над уровнем моря, окружённая со всех сторон "дышащими" вулканами, живёт небольшая народность, исповедующая индуизм, хотя Ява в основном мусульманский остров. Удивительно, что эта народность, обитающая в прямом смысле слова на "пороховой бочке", никуда не собирается уходить. Им нравится жить у подножия вулкана, который они раз в год "задабривают". Эти горные люди живут здесь более пяти веков. Они принадлежали к королевству Можопасит, имевшему многовековую историю. Однако, начиная с XV века, ислам прогрессивно "пошёл" на Запад, вытесняя народы, исповедовавшие иные религии. Королевство Можопасит же "тронулось в путь" в восточном направлении, к острову Бали, где сейчас и проживает основная часть этой народности. На остров Бали переселился практически весь королевский двор со своими подданными... Однако другая часть этой народности - несколько принцев, воины, крестьяне - не желала покидать Яву и на пути нашла природную крепость в виде массива Тенггер, со всех сторон защищённого вулканами и находящегося очень высоко в горах. Здесь путники и остановились, тем более, что эта местность оказалась богато "сдобрена" вулканическим пеплом - прекрасным удобрением для почвы. Благодаря ему можно собирать по несколько урожаев в год. Так вулкан Бромо - этот огнедышащий монстр, приютил у своего подножия бывших подданных королевства Можопасит, сейчас называющих себя просто индонезийцами. |
Когда часть бывших подданных
королевства Можопасит решила остаться у вулкана Бромо, ими правили принц Джоко
Сенгер и принцесса Роро Антенг. Из окончаний их фамилий и произошло название
поселения Тенггер. Эти двое влюбленных очень горевали из-за того, что у них нет
детей. Однажды они поднялись в грот горы Пананджакан, в котором нашли святую
воду, и перед ними предстал бог, живущий в вулкане. Он пообещал всё сделать для
того, чтобы у них родились 25 детей. Но при одном условии: первого ребенка они
отдадут ему.
Согласно этой легенде, после встречи с богом вулкана
все пошло как нельзя лучше не только у Роро и Джоко, но и у всех живущих рядом с
Бромо. Девочки и мальчики росли благополучно, и среди них мужал первенец, самый
любимый ребенок - Раден Кусума. Но родители совсем забыли об условии бога. И вот
однажды их урожай погиб, а вулкан Бромо разразился страшным извержением. Как-то
раз, когда семья принца и принцессы проходила мимо священного камня Вату Дукум,
вулкан извергся вновь и "слизал" языком своей лавы и огня их старшего сына. Но
прежде чем оказаться в глубине вулкана, молодой принц попросил вспоминать его
каждый год, делая подношения богу, который живёт в вулкане. Эти подношения
сделают жизнь принца в вулкане сытой и весёлой, а всем людям, живущим около
Бромо, подарят благополучие.
По этой причине, живущие в этом регионе люди каждый
последний четверг года устраивают праздник Кесодо, который очень живописен и
посвящен жертвоприношениям богу вулкана Бромо. У подножья
вулкана расположен храм, где происходит этот праздник.
Вот и наконец, культурная столица Индонезии - Джокья!
Джокьякарта или Йогьякарта ( Yogyakarta) — старинный город в Индонезии на острове Ява. Город имеет особый административный статус, приравненный к провинции. Город расположен в 30 км от вулкана Мерапи. До 1006 года город являлся столицей яванско-индийского царства Матарам, уничтоженного в результате извержения Мерапи. В окрестностях — всемирное известные храмовые комплексы Боробудур и Прамбанан.
27 мая
2006 года в результате шестибального
землетрясения большая часть города была разрушена. Погибло около 4 000
человек.
Конечно,
фоток в Джокье сделано много...
Город живой, яркий, шумный и веселый. и
ему можно посвятить много строк... но краткость моего отчета не позволяет этого
сделать... Добавлю только, что
это город - столица султаната, с правами автономии в пределах Индонезии, в
центре Джокьи находится дворец Султана - Кратон. Вы много знаете султанатов с
мире? Кроме Брунея, я больше не знаю. Современный Султан -
имееет хорошее юридическое образование и множество жен. Если б я был
Султан... Эх... ![]()
Великий БОРОБУДУР!
Боробуду́р (
Borobudur) —
буддийская
ступа-храмовый комплекс
традиции буддизма махаяны,
самый большой буддийский храм на Земле. Боробудур
расположен в 40 км к северо-западу от
Джокьякарты. Боробудур строился между 750
и 850 годами от РХ, яванскими правителями династии
Сайлендра Название может происходить от санскритского «вихара Будда Ур», что
переводится «буддийский храм на горе».
Боробудур построен как огромная ступа, которая выполнена в форме гигантской мандалы.
Фундамент ступы квадратный со стороной 118 м. У ступы имеются восемь ярусов,
пять нижних — квадратные, а три верхние — круглые. Эта мандала
выражает схему мироздания в соответствии с буддийскими представлениями .
На верхнем ярусе расположено 72 малых ступ вокруг большой центральной ступы.
Каждая ступа в форме колокола с большим количеством украшений. Внутри ступ
помещены 504 статуи
Будды и 1460 барельефов на религиозные сюжеты.
До сих пор Боробудур является местом паломничества и молитв. Паломники семь
раз проходят вокруг на каждом ярусе уровня по часовой стрелке. Прикосновение к
каждому Будде из ступ на верхнем ярусе через выемки в ступе, согласно повериям,
приносит счастье. Ступа сооружена из 2,000,000 каменных блоков.
В
1940 голландский художник
Нивенкамп выдвинул гипотезу, что Боробудур был построен в форме Будды на
цветке лотоса, и по этой причине вероятно комплекс должен был находиться на
озере. В
1949 геологи нашли отложения, которые были интерпретированы как дно озера.
Была выдвинута гипотеза, что озеро образовалось в результате извержения вулкана
Мерапи в
1006 или существенно ранее. Дальнейшие исследования показали, что озеро существовало в
XII—XIV
веках, подтверждая то, что храм символизировал лотос.
Можете себе представить... ТАКОЙ храм, плывущий на озере... Из
космоса видно, что озеро было круглым.. Фантастика!
Вид
из космоса
По мнению исследователей, сооружение можно рассматривать как огромную книгу для паломников. По мере совершения ритуального обхода каждого яруса паломники знакомятся с жизнью Будды и с элементами его учения. Три уровня символизируют три сферы местопребываний — Камадхату (сфера страстей), Рупадхату (сфера форм) и Арупадхату (сфера без форм).
Сотни лет Боробудур лежал покрытый вулканическим пеплом и заросший джунглями.
Как этот уникальный монумент оказался забытым и оставленным — пока не ясно. В
середине XX века
было выдвинуто предположение, что после извержения вулкана
Мерапи
несчастья вынудили жителей покинуть свою землю и искать другие места обитания.
Извержение произошло в
1006, но многие учёные считают что центр яванской цивилизации переместился в
долину
Брантас ещё в
928.
Так или иначе, почему люди оставили Боробудур остаётся загадкой.
В XVIII
веке были лишь частично заметны верхние террасы. Голландские колониальные
экспедиции находили другие монументы, но не упоминали о Боробудуре. Лишь в
1814 губернатор-лейтенант
Стэнфорд Раффлс обнаружил монумент во время английской оккупации острова в
ходе англо-голландской войны. Когда он прибыл в
Семаранг, он получил сообщение о том, что обнаружен холм с большим
количеством камней с резьбой.
и - ПРАМБАНАН!
![]()
Глазами птицы высокого полета!
Прамбанан — комплекс раннесредневековых
индуистских храмов, расположенный в 18 км к
востоку от Джокьякарты, у южного склона вулкана
Мерапи, неподалёку от царского дворца
Рату Боко. Реставрирован голландскими учёными в 1918-53 гг., а в 1991 г.
признан
ЮНЕСКО памятником
Всемирного наследия.
![]()
Наиболее известен грандиозный 47-метровый храм Лара Джонгранг — крупнейший в Индонезии, посвящённый богу Шиве. В переводе его название означает «стройная дева» — так прозвали статую богини Дурги в главном святилище.
Сведения о времени и обстоятельствах возведения Лара Джонгранга скудны и противоречивы. Наиболее вероятно, что храм был построен в начале X века правителем государства Матарам по имени Дхакса. Он состоит из четырёх ярусов (возможно, по числу каст) и окружен четырьмя стенами со столькими же воротами.
Посредине верхней из трёх сужающихся в диаметре платформ высятся три святилища, посвящённые тримурти — Шиве, Вишну и Брахме. Рядом с ними — храмы посвящённых им животных, Нанди, Ангса и Гаруды (последнее — национальный символ Индонезии).

Сингапур
Республика Сингапур (кит.: 新加坡共和国, тамил.: சிங்கப்பூர் குடியரசு, Ciŋakappūr Kudiyarasu) — город-государство, расположенный на острове в Юго-Восточной Азии, отделённый от южной оконечности Малайского полуострова узким Джохорским проливом. Граничит с султанатом Джохор, входящим в состав Малайзии и с островами Риау в составе Индонезии. Название Сингапур произошло от малайского синга (лев), и pura (город).
Первые упоминания о Сингапуре имеются в китайских хрониках III века. Остров был оплотом империи Шривиджая, с центром на Суматре, и носил яванское имя Темасек. Темасек в какое-то время был важным торговым центром, но потом пришёл в упадок. Осталось очень мало свидетельств о городе Темасек кроме отдельных археологических находок. В XV—XVI веках Сингапур входил в состав султаната Джохор. В 1867 Сингапур стал колонией Британской Империи, англичане придавали Сингапуру большое значение как важному опорному пункту на пути в Китай.
Во время Второй Мировой Войны Япония заняла Малайзию и выиграла битву за Сингапур. С 1959 Сингапур стал самоуправляемой колонией, Ли Куан Ю исполнял должность премьер-министра после выборов. 9 августа 1965 получил официальную независимость. В 2004 г 80-летний Ли Куан Ю, занимавший должность старшего министра cстал просто советником правительства, которое возглавит его сын.
Вот такой, извините, сингапурский Брежнев.... и, знаете что, друзья мои, ему удалось! Удалось, черт побери, построить коммунизм! В хорошем смысле этого слова, конечно!
В момент обретения независимости Сингапур представлял
собой маленькую бедную страну, которой приходилось импортировать даже пресную
воду и строительный песок. Соседние страны были настроены недружественно, а
треть населения симпатизировала коммунистам. Себя и своих соратников
Брежнев... ой.. блин... извините... Ли Куан Ю
характеризовал как «группу буржуазных, получивших английское образование,
лидеров».
Стратегия экономического развития правительства Ли Куан Ю строилась на
превращении Сингапура в финансовый и торговый центр Юго-Восточной Азии, а также
на привлечении иностранных инвесторов. «Мы приветствовали каждого инвестора… Мы
просто из шкуры вон лезли, чтобы помочь ему начать производство», - писал Ли
Куан Ю. В результате «американские транснациональные корпорации заложили
фундамент масштабной высокотехнологичной промышленности Сингапура» и это
небольшое государство стало, в частности, крупным производителем электроники.
Налогообложение - одно из самых низких в мире!

При обретении независимости Сингапур страдал от высокой
коррупции.
Ли Куан Ю так охарактеризовал положение: «Коррупция является одной из черт
азиатского образа жизни. Люди открыто принимали вознаграждение, это являлось
частью их жизни». Борьба с коррупцией началась «путём упрощения процедур
принятия решений и удаления всякой двусмысленности в законах в результате
издания ясных и простых правил, вплоть до отмены разрешений и лицензирования».
Были резко подняты зарплаты судей, на судейские должности были привлечены
«лучшие частные адвокаты». Зарплата сингапурского судьи достигла нескольких сот
тысяч долларов в год (в 1990-е годы – свыше 1 млн. долл.).
Были жёстко подавлены триады
(мафиозные группировки). Госслужащим, занимающим ответственные посты, были
подняты зарплаты до уровня, характерного для топ-менеджеров частных корпораций.
Был создан независимый орган с целью борьбы с коррупцией в высших эшелонах
власти (расследования были инициированы даже против близких родственников Ли
Куан Ю). Ряд министров, уличённых в коррупции, были приговорены к различным
срокам заключения, либо покончили жизнь самоубийством, либо бежали из страны.
Среди них были и давние соратники Ли Куан Ю, такие как министр охраны окружающей
среды Ви Тун Бун.
В итоге Сингапур (в соответствии с международными рейтингами) стал одним из
наименее коррумпированных государств мира.
Ли Куан Ю в своих воспоминаниях подчёркивал, что он постоянно насаждал
принцип верховенства закона и равенство всех перед законом, включая высших
чиновников и своих родственников. Законодательная система страны была
унаследована от английского колониального правления.
В 1960-1970-е годы была реформирована система образования. В Сингапуре
имелось множество различных национальных школ, которые получили единые
минимальные стандарты. Английский язык стал обязательным для изучения во всех
школах, вузы были переведены на преподавание на английском языке. Правительство
тратило крупные суммы на обучение сингапурских студентов в лучших университетах
мира.
Правительство придавало большое значение тому, чтобы сделать большинство
населения собственниками жилья. В 1960-е годы была создана система ипотечного
кредитования, резко выросло жилищное строительство и к 1996 году лишь 9% квартир
сдавались внаём, а остальные были заняты собственниками.
Правительство Сингапура создало в стране крайне эффективную
и прозрачную рыночную экономическую систему. Кроме того правительство имеет
репутацию честного и некоррумпированного, различные исследователи постоянно
ставят Сингапур в первую десятку наименее коррумпированных стран в мире и на
самое высшее место по отсутствию коррупции в Азии .
Уровень
преступности в Сингапуре — один из самых низких в мире, при этом законы в
Сингапуре достаточно суровые. Некоторые преступления ведут к наказанию плетьми, некоторые — к смертной
казни. За убийство и торговлю
наркотиками полагается
смертная казнь. В период с 1991 по 2004 было осуществлено 400 смертных
приговоров, это один из наиболее высоких показателей в мире.
Население
в 4,42 миллиона отличается по распределению от соседней Малайзии. Большинство
населения составляют китайцы —
76,8 %. Малайцы разного происхождения составляют 13,9 %. Индийцы составляют
7,9 %, большинство из которых —
тамилы.
Сингапур — многорелигиозная страна. 40 % населения исповедуют буддизм.
Большинство китайского населения следуют традиционным верованиям, сочетающим
даосизм,
конфуцианство.
Большинство мусульман — малайцы, но ислам исповедуют и другие народы.
Христианства придерживается 14 % населения; представлены как католичество,
так и другие конфессии.
Cимвол Сингапура — мифический персонаж
Мерлион («полурыба-полулев»)![]()
Еще раз, перечитав все это... я подумал, что для страны, которая даже
строительный песок ввозит из-за рубежа... очень и очень неплохо...
особенно по сравнению с нашей страной, которая вывозит все, что можно вывезти..
![]()
Еду на такси... Город поражает своей чистотой, ухоженностью, уютностью... Очень
зеленый, весь в цветах... такое чувство, что люди построили город в лесу, не
тронув ни одно дерево. Таксисты в белых рубашках... какие то .. не наши...
не в смысле внешности... а во взгляде... интеллигентны... такое чувство,
что тебя везет профессор истории или экономики.. и рассказывает о
своей малюсенькой стране с нескрываемой гордость. Такси
внутри, как пульт управления космическим кораблем, сенсорные экраны... из панели
выезжает чек в конце поездки...
![]()
![]() |
![]() |
![]() |
| Просторный светлый город. | Фуникулер на остров Сентоза | |
![]() |
![]() |
![]() |
| Крупнейший океанариум Восточной Азии | ||
![]() |
![]() |
|
|
|
Знаменитая улица Орчард Роад - улица шикарных магазинов, ресторанов, отелей и салонов. | Орчард Роад |
Продолжение следует....